物件番号 : 260112095313
土地 価格 827.775万円

閑静な住宅街であり、国道209号線も近い為、ライフライン充実!!ひろびろ敷地でお好きな住宅建築しませんか。

売地

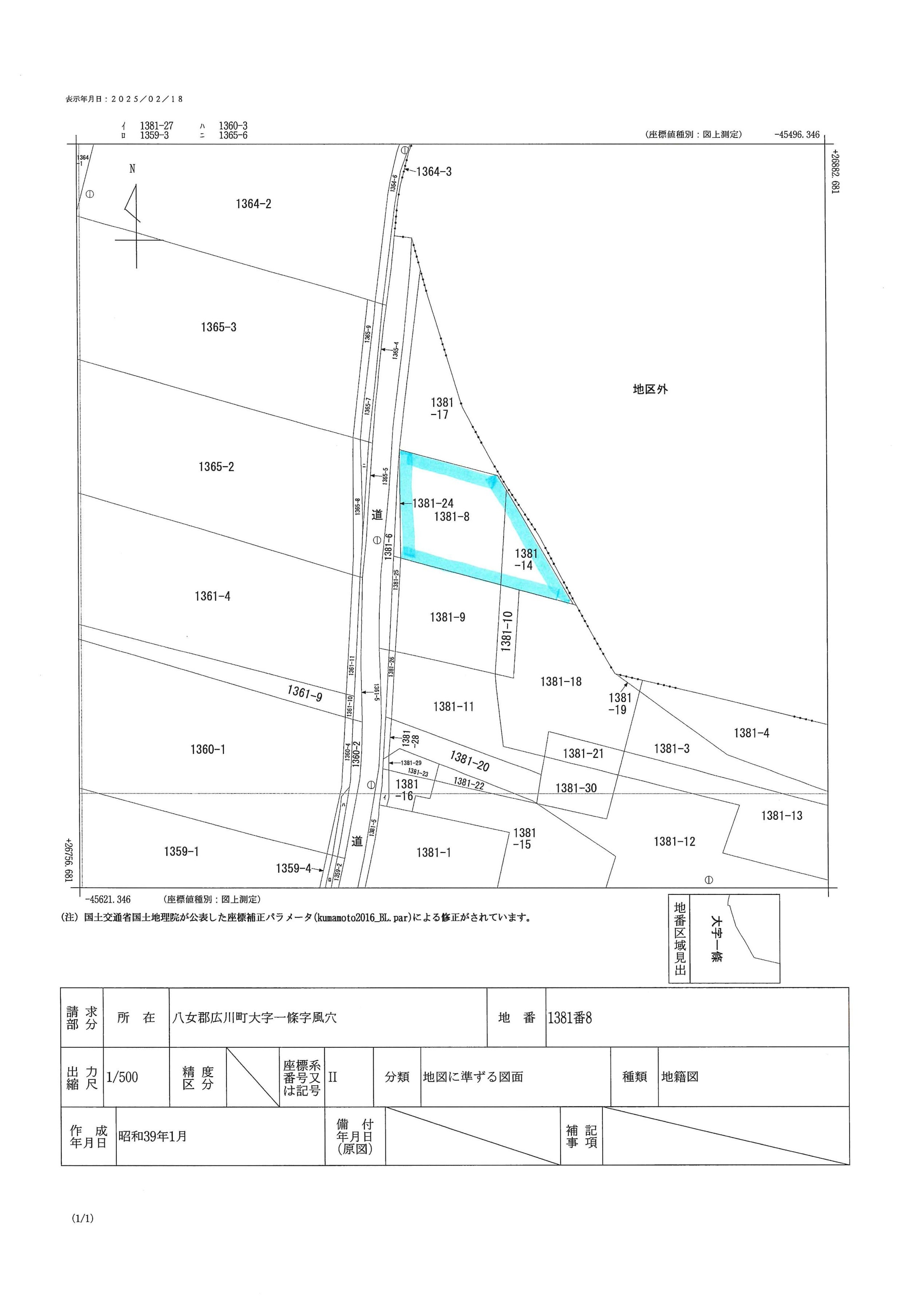
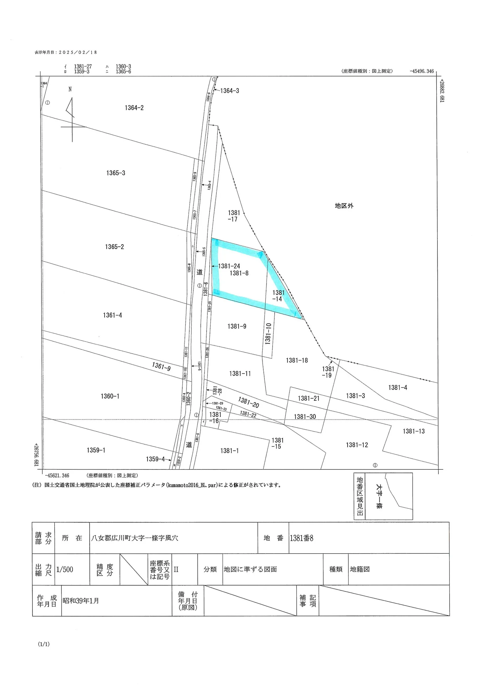
八女郡広川町大字一條 (地番[1381-8、1381-14])
売地
1 / 6

画像一覧

画像をクリックで拡大表示

価格 827.775万円

基本情報

物件種別
売買土地
情報更新日
2026年1月12日

料金

価格
827.775万円
坪単価
6.4999万円

所在地・交通

所在地
八女郡広川町大字一條 (地番[1381-8、1381-14])
沿線・駅・交通
筑後北小学校バス停 徒歩10分
小学校区
広川町立下広川小学校 距離1602m
中学校区
広川町立広川中学校 距離4600m

土地情報

土地面積
公簿421㎡ / 約127.35坪
地目
山林
都市計画
非線引区域
用途地域
無指定
建ぺい率・容積率
70・200%
接道状況詳細
一方 【内訳】 ●西 幅7.5m 公道 接面17.5m

契約情報

土地権利
所有権
現況
更地
引渡し可能時期
即時
取引態様
一般媒介

設備

電気 上水道

所在地

八女郡広川町大字一條 (地番[1381-8、1381-14])